A six-day stint as an assistant marine biologist, measuring the ocean life and waters off the Sonoma-Marin coast might not be everyone's idea of an ideal summer interlude. But for one Santa Rosa high school teacher, that's exactly what it was.
While the entire experience aboard the NOAA research vessel was memorable, Elaine Bechler says there was one sight in particular that stood out for her.
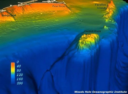
The delicate and threatened marine habitat of the two adjacent underwater sanctuaries lies between the Sonoma-Marin coastline and two uprisings from the sea floor that mark the end of the Pacific shelf, before the ocean becomes dramatically deeper, as seen in the subsurface topographical image below.

Live Radio